政府招標出售將軍澳用地作為電動車高速充電站。(資料圖片)
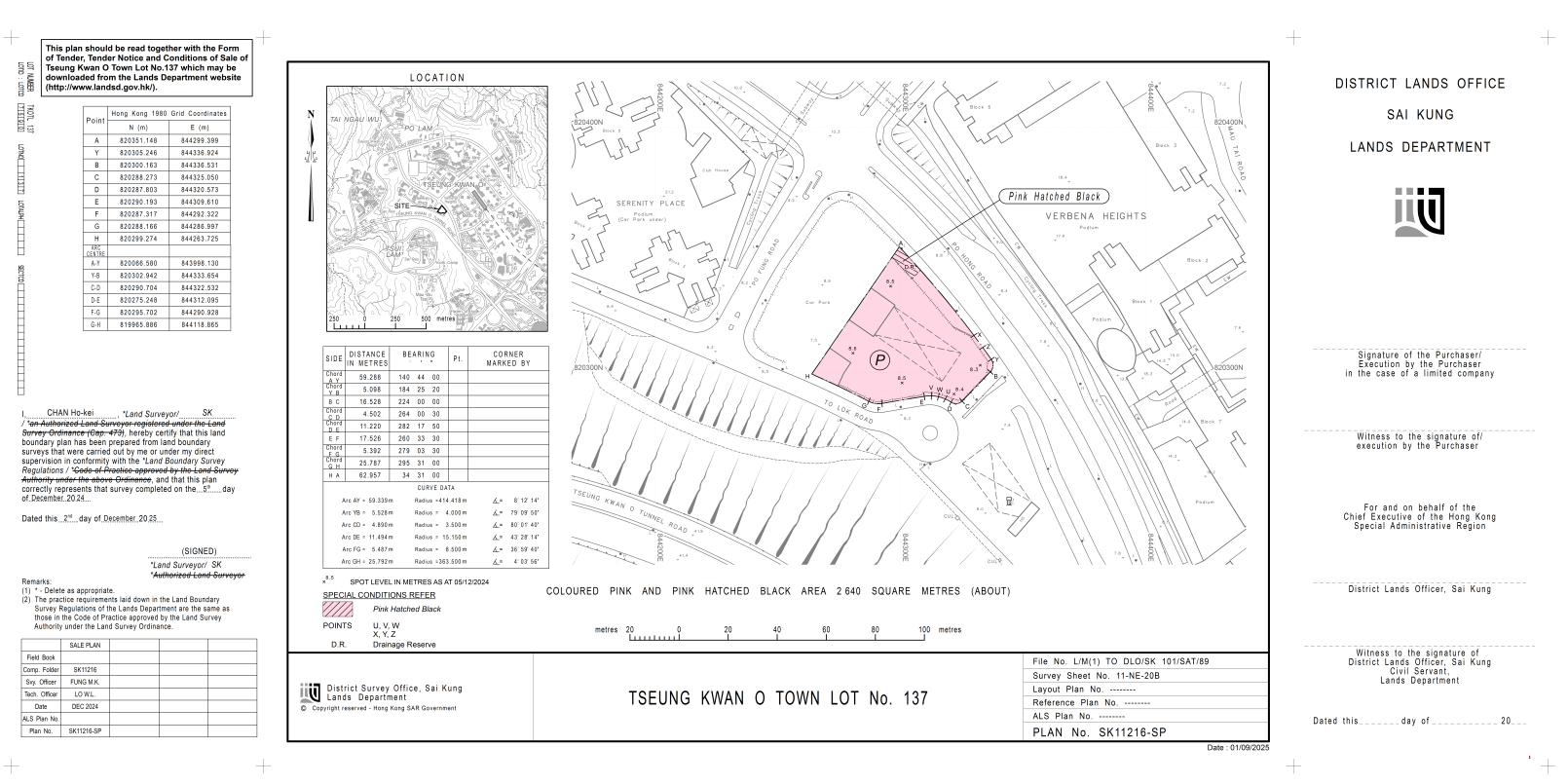
政府公布公開招標出售一幅位於新界將軍澳寶康路100號的將軍澳市地段第137號用地作電動車高速充電站用途,4月17日截標。
環境及生態局表示,政府已宣布在2035年或以前停止新登記燃油私家車。為配合電動車持續增長帶來的充電需求,政府致力擴展高質量的高速充電網絡供不同類型的電動車充電,並已公開招標出售四幅分別位於九龍灣、火炭、大埔及青衣的油站用地作電動車高速充電站用途。是次出售的用地上可用作零售用途的面積較傳統油站更大,可供營運商靈活使用以配合電動車司機的需要。政府會視乎實際市場需要,適時揀選合適的油站用地,以轉型為高速充電站。
用地面積為2640平方米
是次出售的將軍澳市地段第137號用地面積為2,640平方米,指定作電動車高速充電站用途。該幅土地的賣地文件已上載至地政總署網頁供公眾人士下載;賣地圖則會由即日起至截標前供公眾人士查閱。公眾亦可於即日起至截標前到香港北角渣華道333號北角政府合署6樓地政總署測繪處購買賣地圖則印刷本。招標詳情亦已於今日刊憲。
政府招標出售將軍澳用地作為電動車高速充電站。(地政總署)









