芙蓉大廈住戶晚上9時許,陸續落街接受測試。(林俊源攝)
警方於公布「封區」消息後約十分鐘,始拉橙帶封鎖大廈。(林俊源攝)
一段芙蓉街晚上亦要封閉。(林俊源攝)
【21:40更新】晚上9時許,芙蓉大廈的住客陸續落樓輪候接受強制測試。
----------
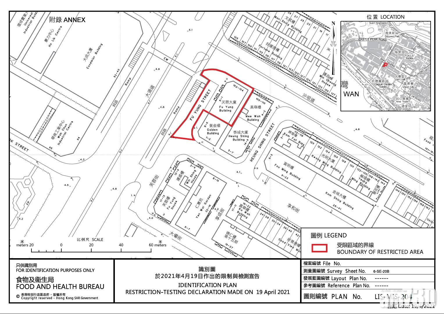
政府今晚在荃灣突襲「封區」,麗城花園二期第4座和芙蓉街芙蓉大廈今日(19日)晚上8時被圍封,要求範圍內人士強制接受病毒測試,目標分別明早7時30分或7時完成行動。政府發言人指出,由於兩座大廈今日各自發現1宗源頭未明的初步確診個案,經評估後相關區域感染風險有機會較高,在測試呈陽性後決定採取「封區」行動。
本港今日新增12宗新型肺炎確診個案,僅1宗屬本地感染,為有源頭的屯門友愛邨愛暉樓第2座8樓84歲男住戶(#11672)。
荃灣芙蓉大廈。(鍾式明攝)
荃灣麗城花園指明「受限區域」。(政府新聞處)
荃灣芙蓉大廈指明「受限區域」。(政府新聞處)









