本港新冠疫情持續,再有大廈需要圍封強檢。(資料圖片)
本港新冠疫情持續,再有大廈需要圍封強檢。政府引用防疫規例,要求屯門友愛邨愛義樓下午2時起圍封強檢,目標在明日下午約1時完成行動。
同時,黃大仙東頭(二)邨偉東樓亦自下午3時起需圍封強檢,目標是在明日下午約1時完成此行動,並視乎檢測結果,行動或會延長。
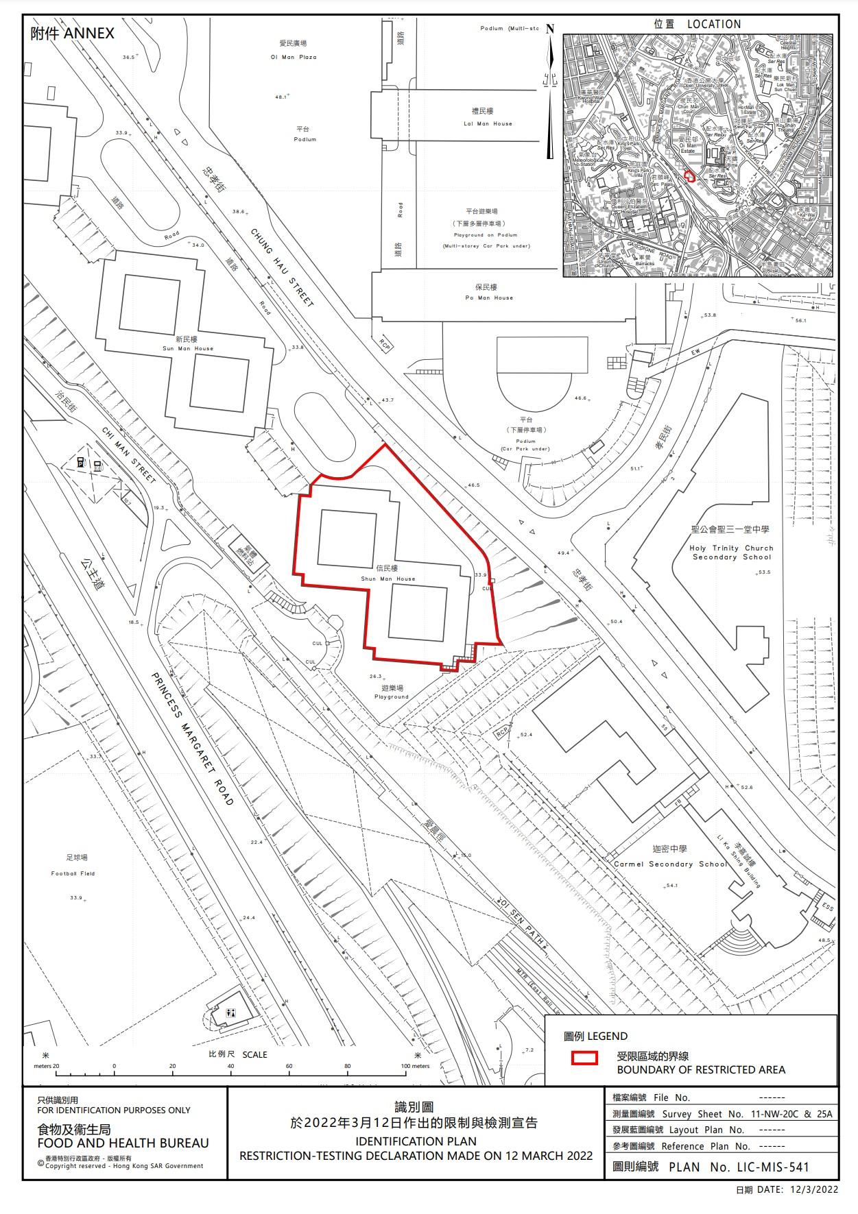
屯門翠寧花園第1座亦自下午3時起納入強檢,目標是在明日下午約1時完成此行動;而何文田愛民邨信民樓亦自下午3時半起須圍封強檢,目標是在明日下午約1時完成行動。
此外,黃大仙竹園南邨雅園樓和觀塘安達邨賢達樓分別在下午4時半起和下午5時起須圍封強檢,目標分別在明日下午約1時和明日中午12時完成行動。
污水樣本陽性 疑大廈內有新冠隱形患者
政府指,有關大廈的污水樣本對新冠病毒檢查呈陽性,懷疑在大廈內有隱形患者,經評估後相關區域感染風險有機會較高,決定將大廈圍封強檢,期間受檢人士須在其處所等候,直至「受限區域」內所有已識別的受檢人士完成檢測,而相關檢測結果亦已獲大致確定,方可離開其處所。
















