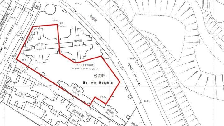
鑽石山悅庭軒第2及第3座下午圍封強檢。(政府新聞處)
鑽石山悅庭軒第2座及第3座,下午4時起圍封強檢,居民要在今晚9時前接受檢測,目標明日約下午1時完成行動,視乎檢測結果,行動或會延長。
屯門6屋苑污水檢測結果呈陽性將派測試包
另外,政府表示,屯門區6個屋苑的污水檢測結果呈陽性,且病毒量相對較高,向有關屋苑居民、清潔工及物業管理員,派發合共約9萬個快速抗原測試包,供他們自行檢測,以輔助識別感染者。

恭喜你!獲取1分 !

