dadblk3 madblk3
adblk3
adblk3
本地
出版:2018-Sep-14 12:38
更新:2018-Sep-14 12:38

【山竹襲港】天文台上調周日離岸吹11級暴風 籲市民今明完成防風措施

分享:
adblk4

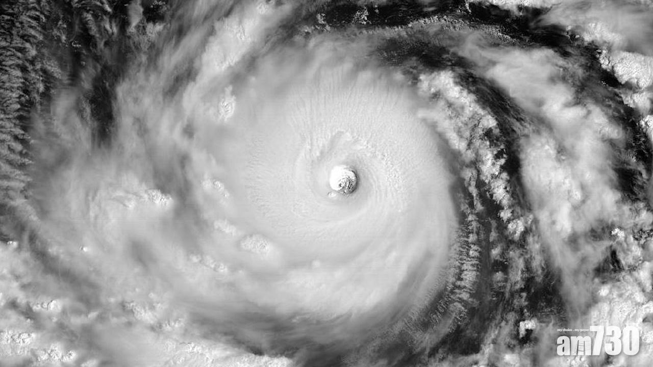
超強颱風山竹逐步逼近本港,天文台會在今晚考慮是否需要發出一號戒備信號,呼籲市民今明兩日盡早完成預防措施,明日亦要避免進行水上活動及靠近岸邊。天文台上調了周日(16日)的風力預測,預計離岸風力達11級暴風程度,即風速達至每小時104至117公里暴風。

高級科學主任陳營華表示,山竹星期六會橫過呂宋北部,並進入南海,路徑及中心風力可能受呂宋地形影響而改變,但預計進入南海後仍會維持超強颱風的級別。雖然其後山竹的路徑及與香港的距離仍存在變數,但山竹環流廣闊,預料對廣東沿岸構成威脅,本港星期日天氣會顯著轉壞,風勢急速增強,有頻密狂風大雨,海面有非常大浪及湧浪,大雨及風暴潮可能導致沿岸低窪地區出面淹浸或海水倒灌。

adblk5

ADVERTISEMENT

ad

恭喜你!獲取1分 !

更多積分任務